- Home
- Government
- Departments
- Public Works
- Current Projects
- 2025 Redesign of the Intersection of Main Street, Baker Avenue, and Cottage Street and of Main Steet, Old Bridge Road, and Crest Street
2025 Redesign of the Intersection of Main Street, Baker Avenue, and Cottage Street and of Main Steet, Old Bridge Road, and Crest Street
Project Contacts
Project Manager
Justin Richardson, PE
Assistant Town Engineer
Concord Public Works
978-318-3213
jrichardson@concordma.gov
Designer: Jacobs Engineering Group, Inc. of Boston Massachusetts
Other Owners/Contractors for the Utility Projects
Concord Municipal Light Plant (CMLP)
Project: Relocate utility pole and reconnect electrical wires. Contact: CMLP Engineering
978-318-3116
Verizon
Project: Relocate utility pole and reconnect telecommunication wires. Contact: John Bowler john.j.bowler@verizon.com
Comcast
Project: Reconnect telecommunication wires. Contact Jody Gaudet Jody_Gaudet@comcast.com
National Grid
Project: Gas main reconstruction and regulator station removal on Cottage Road and reconstruction of regulator station on Main Street Contact: Adeola Adetona adeola.adetona@nationalgrid.com
Project Update
National Grid continues to work in the area with an anticipated completion of their project in early December 2025. The Town’s boring contractor will be performing a boring in Main Street on November 24, 2025 just east of Cottage Street.
This project involves the intersections of Main Street, Baker Avenue, and Cottage Street and of Main Street, Old Bridge Road, and Crest Street.
Project Summary
The Engineering Division of Concord Public Works (CPW) began planning and the redesign of the intersection of Main Street, Baker Avenue and Cottage Street, and of Main Street, Old Bridge Road and Crest Street, in March 2023. The overall project involves significant work on both public and private utilities and coordination with direct abutters on project impacts on their properties. CPW anticipates construction will begin this fall.
CPW's General Contractor
- A contractor to construct the project will be selected after the bidding process is complete.
Public Meetings
- A Neighborhood Meeting will be scheduled in early fall 2025 to review the design and get community feedback. Presentations will also be made to the West Concord Advisory Committee (WCAC) and the Traffic Advisory Committee.
National Grid Work
- National Grid’s work must be completed before the Town’s project can begin.
- CPW Engineering is coordinating with National Grid to expedite the process.
Design of Intersection
- Jacobs Engineering Group, Inc.--the project’s design firm--has completed a final design draft.
- After the public meetings, CPW Engineering will review and request any changes.
- Jacobs will then finalize plans, specifications, and bid documents.
Bidding of Road/Signal Work
- Once documents are ready, bids will be solicited from qualified contractors.
Utility Pole Relocation
As part of the project, the existing utility pole in the middle of Baker Avenue at the intersection will need to be relocated.
- This is expected to begin in the fall of 2025 and must occur before the start of traffic improvements in that location.
Easements and Right-of-Way Changes
The Engineering Division has spent a considerable amount of time in discussions with direct abutters of the project on impacts of the project, access issues, and the location of traffic equipment on private property. Documents will be drawn up and agreements executed.
Intersection Construction
- After the contractor selection, CPW will set a construction schedule.
- Once available, the contact information of the contractor and the schedule will be posted online.
Ongoing Updates
- CPW will continue to provide updates on this project via the Town’s website.
Pedestrian, Traffic, and Access Management
- CPW Engineering will work closely with the selected contractor to minimize traffic disruptions, but some delays are expected.
- The contractor’s Traffic Management Plan will be reviewed by both Concord Public Works and the Concord Police Department before implementation. The Traffic Management Plan will be posted online once approved.
- The Traffic Management Plan will ensure safe pedestrian movement and business/residence access.
- It is important to be aware that at times, one lane of traffic will be closed, and detours may be implemented.
- This project also includes reconstruction of sidewalks, crosswalks, and pedestrian signals, but pedestrian access to all businesses and residences will be maintained.
Construction Schedule
The schedule for construction will be posted when developed.
Project Details
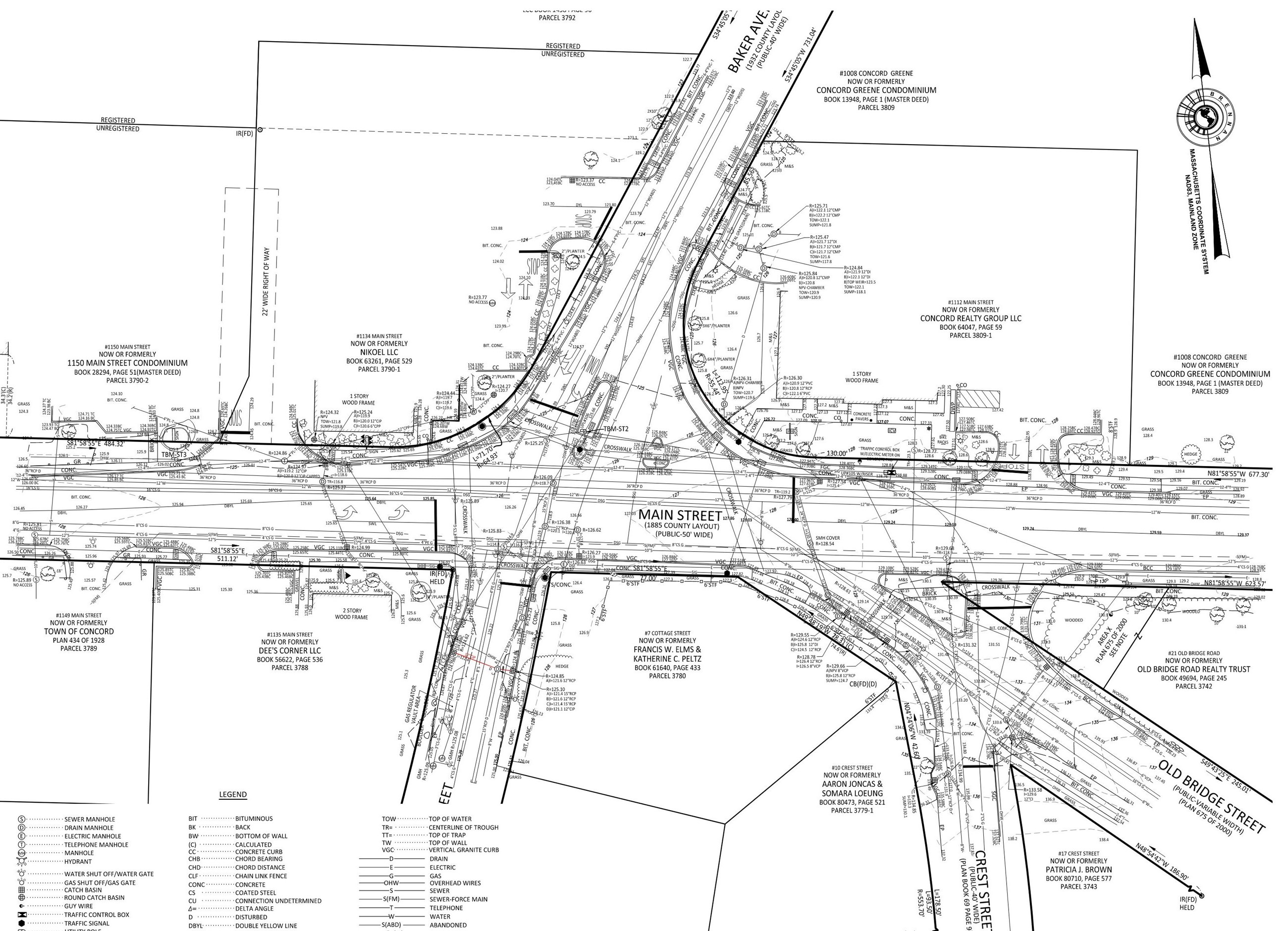
A. Location
- The project involves the intersections of Main Street, Baker Avenue, and Cottage Street, and of Main Street, Old Bridge Road and Crest Street.
- Here is a map of the existing conditions of the intersection.
B. Utility Pole Relocation
- The existing utility pole and median island at the beginning of Baker Avenue create a sever misalignment of the travel lane from Cottage Street and are creating a driving and safety hazard.
- Concord Municipal Light, Verizon, and Comcast (who all have utility wires connected to the pole) have all agreed on the relocation of the pole to the east side of the intersection to better align the traveled way.
C. Intersection Realignment & Signal Upgrade
The project includes several improvements, including:
- New traffic signals controlled by a video camera system that will identify when cars are in the intersection. (The current vehicle detection devices at this location are non-functioning due to age and deterioration.)
- The realignment of Cottage Steet and Baker Avenue’s northbound lane. Reconstruction of sidewalks, crosswalks, and pedestrian signals.
- Removal of the eastbound “slip lane” on Old Bridge Road and the realignment of Old Bridge Road and Crest Street to intersect better with Main Street to help:
- Slow traffic
- Increase space between the two intersections
All of these adjustments are designed to make travel in the area safer and more efficient. Proposed draft final intersection design plan.
D. Coordination of Traffic Signals on Main Street
- This project also includes the retiming of three traffic signals located at:
- Main Street / Church Street / Pine Street
- Main Street/ Commonwealth Avenue / Bruce Freeman Rail Trail
- Main Street / Baker Avenue / Cottage Street
These changes are necessary to better regulate traffic flow and to reduce any traffic bottlenecks.
E. The Planting Area at Main Street and Old Bridge Road
- This project includes a new water connection to provide water for the planting island at the intersection of Main Street and Old Bridge Road.
- This area will continue to be maintained by the West Concord Green Thumbs, a volunteer group who maintain multiple public gardens throughout West Concord.
F. National Grid Gas Upgrades
- Part of the project also includes replacing multiple sections of gas mains on Main Street, Cottage Street, Old Bridge Road, Crest Street, and Bridgecourt Lane, and the removal of the National Grid regulator station on Cottage Street. Overall gas main replacement plan.
- A new National Grid gas main regulator station will then be installed on Main Street prior to the abandonment of the station on Cottage Street. Gas regulator vault relocation plan.